Nieuw in verkoop:Burg. Remmenstraat 9, 6021 BK Budel - Foto
Nieuw in verkoop
+10

Burg. Remmenstraat 9 6021 BK Budel € 549.000,- k.k.

  • Belegging
  • Bouwjaar 1969
  • 215 m² perceeloppervlakte
  • 166 m² vloeroppervlakte

Beschrijving

Algemeen:

In het centrum van Budel gelegen beleggingsobject omvattende 2 appartementen, 1 winkelruimte en een garage met ingang aan de Deken van Baarsstraat. Het gehele object is verhuurd.

Indeling:

Begane grond
Winkelruimte met keuken en sanitair. Via een aparte ingang is de hal met de trapopgang naar de 2 appartementen bereikbaar.
De garage en een ruime berging zijn via de buitenruimte en de achterliggende Deken van Baarsstraat bereikbaar.

1e verdieping
Overloop met trapopgang naar de 2e verdieping en de ingang naar appartement 1. Deze woning beschikt o.a. over een keuken met keukeninrichting, woonkamer, slaapkamer, badkamer en balkon.

2e verdieping
Appartement 2 met o.a. een keuken met keukeninrichting, woonkamer, slaapkamer, badkamer en balkon.

Bijzonderheden:

- Verkoper beschikt niet over een energielabel;
- Deels kunststof kozijnen met dubbel glas, deels enkel glas;
- Spouwmuurisolatie aanwezig;
- Het gehele pand wordt verwarmd door een hybride warmtepomp (ca. 2021);
- Volledig verhuurd;
- Centrale ligging in het centrum van Budel;
- Aanvaarding in overleg.

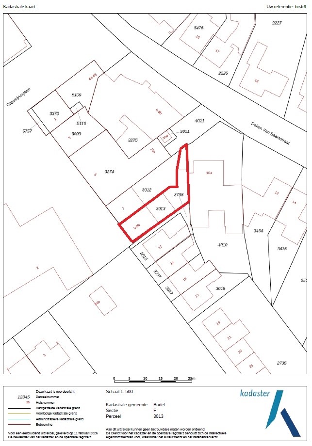
Kaart

Kenmerken

Overdracht

Referentienummer
00240
Vraagprijs
€ 549.000,- k.k.
Status
Nieuw in verkoop
Aanvaarding
Direct
Aangeboden sinds
Dinsdag 14 april 2026

Bouw

Type object
Belegging, Woninginvesteringen
Soort bouw
Bestaande bouw
Bouwperiode
1969

Oppervlaktes en inhoud

Perceeloppervlakte
215 m²
VVO
166 m²

Locatie

Ligging
In centrum
Lokale voorzieningen
Bank binnen 500 meter
Geldautomaat binnen 500 meter
Recreatie binnen 500 meter
Restaurant binnen 500 meter
Winkel binnen 500 meter
Supermarkt binnen 500 meter
Bereikbaarheid
Bushalte binnen 500 meter
Treinstation op 5000 meter of meer
Afrit van de snelweg op 4000 meter tot 5000 meter

Kadastrale gegevens

Kadastrale aanduiding
Budel F 3013
Perceeloppervlakte
215 m²
Omvang
Geheel perceel
Eigendomsituatie
Eigen grond

Media

Foto's

Plattegronden

Brochure(s) en overige bijlagen

Brochure - Burg. Remmenstraat 9 - Budel.pdf Download