Verkocht:Boschdijk, 6021 AM Budel - Foto
Verkocht

Boschdijk 6021 AM Budel

  • Losse grond
  • 2 ha 58 a 85 ca perceeloppervlakte

Beschrijving

Algemeen:

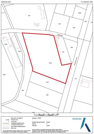
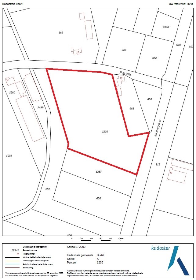
Op een goed bereikbare locatie grenzend aan de Boschdijk en de Randweg - Oost gelegen perceel landbouwgrond (bestemming agrarisch) met een oppervlakte van 25.885 m². De bodem betreft zandgrond en is recent in gebruik geweest voor het verbouwen van mais.

De verkoop vindt plaats bij inschrijving. De inschrijftermijn sluit op maandag 15 december 2025 om 12.00 uur en loopt digitaal via het portaal van Eerlijk BIeden.
Een biedingslink is op te vragen via Huijers Vastgoed Makelaardij.

Kaart

Kenmerken

Overdracht

Referentienummer
00211
Vraagprijs
€ 315.000,- k.k.
Status
Verkocht
Aanvaarding
In overleg
Aangeboden sinds
Woensdag 12 november 2025
Laatste wijziging
Dinsdag 13 januari 2026

Bouw

Type object
Losse grond
Grondsoort
Zand
Soort bouw
Bestaande bouw

Oppervlaktes en inhoud

Perceeloppervlakte
2 ha 58 a 85 ca

Locatie

Ligging
Platteland

Kadastrale gegevens

Kadastrale aanduiding
Budel K 1236
Perceeloppervlakte
25.885 m²
Omvang
Geheel perceel
Eigendomsituatie
Eigen grond

Media

Foto's

Plattegronden